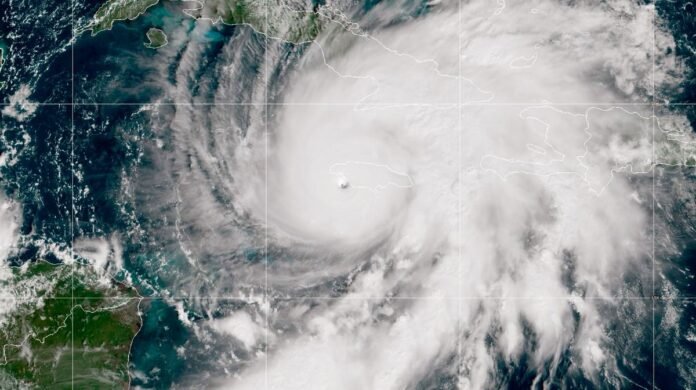
A devastating storm struck Jamaica, causing destruction and loss of life on the island. Hurricane Melissa, with winds reaching 185mph, claimed the lives of at least seven individuals, demolished homes, isolated communities, and triggered extensive flooding. Termed the “storm of the century,” Melissa nearly matched the record for the strongest storm in that region. Notable figures like Neville Lawrence, father of murdered Stephen Lawrence, and relatives of footballer Raheem Sterling were among the 58,000 British citizens present on the island during the calamity.
Forecasters have raised concerns about the unprecedented power of Melissa, marking it as the most potent storm in Jamaican history, as it moves towards Cuba and the Bahamas. The Jamaican government took proactive measures, including evacuations from high-risk zones and airport closures, urging the populace to seek shelter. Residents and visitors alike, such as Rebecca Chapman celebrating her 25th wedding anniversary in a beachfront hotel, described the eerie silence and impending danger as the storm approached.
Holidaymaker Andrew Tracey, stranded due to flight cancellations, witnessed the hotel’s preparations for the impending disaster, feeling the impact of the strong winds. Concerned individuals, like Michaela Menezes, emphasized the urgency of seeking safety with their loved ones during the crisis. With a crisis center established to aid stranded Britons and the Royal Navy on standby for potential rescue operations, the authorities are closely monitoring the situation to ensure the well-being of all affected individuals.
Jamaica faced widespread power outages and communication failures, with trees uprooted and significant structural damage as Melissa made landfall. Despite evacuation orders, many residents remained in high-risk areas, prompting officials to urge immediate relocation to designated shelters. The storm, ranked as the fifth-strongest Atlantic hurricane on record, posed severe threats of flooding and landslides across Jamaica’s rugged terrain.
As Cuba braced for the storm’s impact, evacuation orders were issued for nearly 900,000 residents, with international efforts mobilizing emergency aid. Limited resources and economic vulnerabilities heightened concerns over the region’s ability to withstand the aftermath of such a catastrophic event. The United Nations World Food Programme positioned emergency supplies in neighboring Haiti, signaling global support in the face of this natural disaster.
