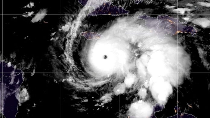
A dangerous hurricane heading towards Jamaica and Cuba has strengthened and is on track to potentially become a Category 5 storm before it hits the region either tonight or early Tuesday, as per forecasts. The US National Hurricane Centre (NHC) has issued warnings that Hurricane Melissa is likely to cause severe flooding, landslides, and storm surges in the area. Jamaican authorities have advised residents to seek shelter in the 900 designated shelters scattered across the island.
Prime Minister Andrew Holness has mandated evacuations for Port Royal in Kingston and six other regions as a precautionary measure. With sustained winds reaching up to 140mph (220kph), Hurricane Melissa is anticipated to intensify further as it moves closer to Jamaica.
Desmond McKenzie, the Minister of Local Government, expressed concerns about the potential impact, stating that many communities are at risk of devastating flooding due to the low-lying nature of Kingston. The closure of both international airports has been implemented.
The slow-moving Hurricane Melissa has already caused fatalities in Haiti and the Dominican Republic, with ongoing search efforts for a missing individual in the latter. The NHC has projected rainfall amounts ranging from 15 to 30 inches for Jamaica and southern Hispaniola, with localized totals exceeding 40 inches.
Eastern Cuba is also expected to experience heavy rainfall, with estimates ranging from 10 to 15 inches and localized amounts up to 20 inches. Authorities are cautioning about the likelihood of significant damage to infrastructure, power outages, communication disruptions, and isolation of several communities in Jamaica.
Jamaica’s Information Minister, Dana Morris Dixon, assured that the Caribbean Disaster Emergency Management Agency is prepared to provide assistance, with international partners already pledging their support. She emphasized the unprecedented rainfall forecasts and the need for preparedness.
AccuWeather’s lead hurricane expert, Alex DaSilva, highlighted the potential risks posed by Hurricane Melissa, urging residents across Haiti, the Dominican Republic, Cuba, and Jamaica to brace for torrential rainfall, flash floods, power outages, and road closures, indicating the potential for catastrophic consequences.
